
Kyle Reis
Leadership
Atlanta, Georgia
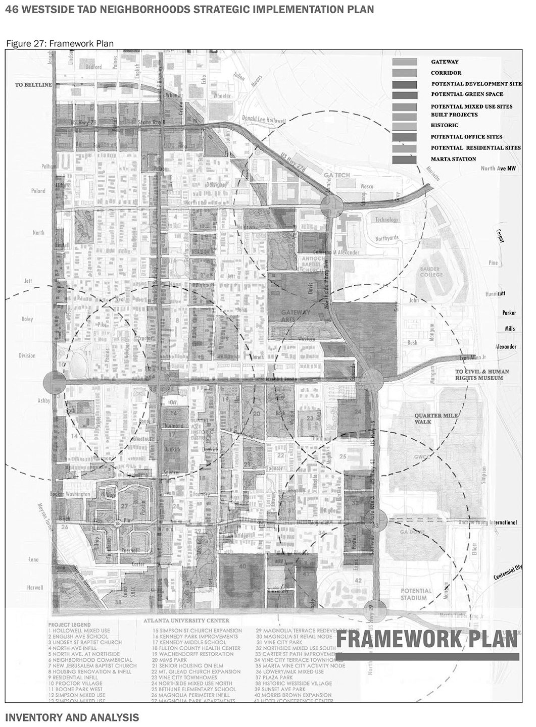
Atlanta’s downtown central business district is bordered on the west by the two historic single-family neighborhoods of Vine City and English Avenue. Ravaged by decades of depopulation, disinvestment, escalating crime, and social-ills, residents living in both neighborhoods face significant socioeconomic challenges. Despite the identified challenges, the neighborhoods have many significant assets which can be leveraged to encourage reinvestment. Ideally located, the neighborhoods are adjacent to two MARTA multi-modal stations, the Atlanta University Center, Fortune 500 companies, a major convention center, professional sports venues, and Atlanta’s Central Business District. There are also significant historic and cultural assets in these communities, which were home to notable civil rights and civic leaders, including Martin Luther King, Jr., Julian Bond, Maynard Jackson, and Alonzo Herndon.
The City of Atlanta created a special Tax Allocation District (TAD) as a tool to address the ongoing economic disparity and to enhance the residents’ quality of life. The City’s development authority, Invest Atlanta, engaged APD Urban Planning and Management and COOPER CARRY to provide comprehensive, strategic and implementation planning services for the Westside neighborhoods. The primary goals of the Westside TAD Neighborhoods Master Plan were to 1) create a cohesive, sustainable vision for the Westside TAD Neighborhoods that will guide future redevelopment; and 2) build human capital and increase job creation as an economic development strategy. The result of Master Plan is a broad-based residential and economic implementation strategy that prioritizes human capital development as an integrated component of the overall redevelopment plan. While the strategy of reinvestment focuses on physical transformation, the most critical aspect of this work involves assuring that community members are engaged as key players in the transformation and share in the excitement and enthusiasm generated by future possibilities.
Leadership